Používame cookies

Používaním týchto stránok súhlasíte s používaním cookies, ktoré nám pomáhajú zabezpečiť lepšie služby. Viac info

 

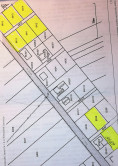
Na predaj sú pozemky m. č. Močiar v Rimavskej Sobote

Ulica: m. č. Močiar
Obec: Rimavské Janovce
Okres: Rimavská Sobota
Kraj: Banskobystrický kraj
Druh: Pozemky
Typ: Predaj
Typ pozemku: Pozemky - bývanie
Iné:
43 €/m2
stavebné pozemky

Popis nehnuteľnosti

Na predaj sú stavebné pozemky v Rimavskej Sobote m. č. Močiar. Jedná sa o 6 pozemkov, každý o rozlohe 922 m2. Cena 43,00 Eur/m2. Nachádzajú sa blízko už rozostavanej časti Močiar. V blízkosti sú vybudované inžinierske siete. Uvedené pozemky sú vytýčené geometrickým plánom. Oblasť sa nachádza blízko vodnej nádrže Kurinec. Do mesta trvá autom asi 10 minút. Ako prvý si môžete vybrať najlepší pozemok. Pozemky sú bez tiarch, ihneď k dispozícii. Dohoda možná.

Vlastnosti

Status:
aktívne
Vlastníctvo:
osobné
Celková plocha:
922 m2
Plocha pozemku:
922 m2
Inžinierske siete:
áno
Status:
aktívne
Vlastníctvo:
osobné
Celková plocha:
922 m2
Plocha pozemku:
922 m2
Inžinierske siete:
áno

Pozrieť na mape

Maklér

Šupicová Magdaléna

Šupicová Magdaléna

konateľ spoločnosti

  • Slovensky
  • lrm

Radi Vám poradíme

Podobné nehnuteľnosti